SIGN UP CUSTOMER LOGIN
Main Photo

15 Total Photos [Click to View All]

Main Photo
Main Photo

Lot 1 Haley Rd Road Manhattan, IL 60442

$229,000
Contingent / MLS# 12334323 / Land - Farm / Manhattan
0 Beds

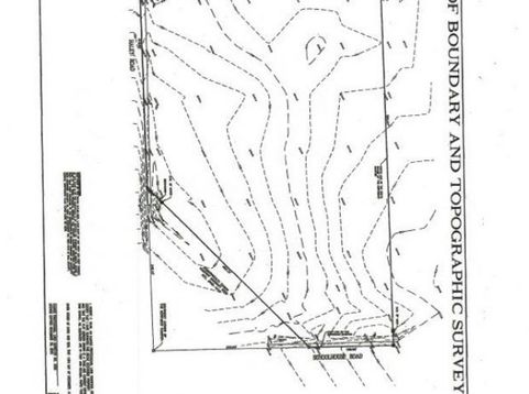
Located adjacent to the 5 acres at the northwest corner of Schoolhouse Rd/Haley Rd this 5 acre parcel zoned Ag with E2 estate Zoning currently farmed with corn. The pipeline easement runs 60' wide down the side on Haley. Can be combined with adjacent 5 acres ( see mls # 12506121) for a total of 10 or per the county it can be split into 2.5 acre lots. New PIN # will be assigned by the county as this was just split off from the adjacent 5 acre lot. Lots of options! See the tab Under Additional Information: The 2 survey's for both lots and the information from Will County regarding the splitting up of the lots to 2.5 acres and creating the small subdivision.

Read More » Read Less »

Baird & Warner Kenneth Arrizola Agent Cell: 773.914.8480 Email

Mortgage Calculator

%
years/fixed
yearly
yearly (est.)
(Payments are an estimate and may vary by lender)

Estimated Payment

$ 604.76 per month $508.89 Principal & Interest $29.08 Property Tax $66.79 Homeowner's Insurance
Get your competitive financing options.

Property Details

Property Type: Land - Farm
Lot Size: 5.00 Acres
Taxes: $349

Feature Descriptions

Lot Dimensions: 424X518
Parcel#: 1412232000050000
Township: Manhattan

Schools

School District: District 210

Disclaimer: The accuracy of all information regardless of source, including but not limited to square footage and lot size, is deemed reliable but not guaranteed nor warranted and should be personally verified through personal inspection by and/or with the appropriate professionals.

Location

See details and scored characteristics about this location.

Listing Office: eXp Realty

Listing Office Phone: 888-574-9405



Listing data and photos distributed by MLSGRID
Member Participants (and their affiliated licensees, if applicable) shall indicate on their websites that IDX information is provided exclusively for consumers’ personal non-commercial use, that it may not be used for any purpose other than to identify prospective properties consumers may be interested in purchasing, that the data is deemed reliable but is not guaranteed by MLS GRID, and that the use of the MLS GRID Data may be subject to an end user license agreement prescribed by the Member Participant’s applicable MLS if any and as amended from time to time. MLS GRID may, at its discretion, require use of other disclaimers as necessary to protect Member Participant, and/or their MLS from liability.
Based on information submitted to the MLS GRID. All data is obtained from various sources and may not have been verified by broker or MLS GRID. Supplied Open House Information is subject to change without notice. All information should be independently reviewed and verified for accuracy. Properties may or may not be listed by the office/agent presenting the information.


Login to my Baird & Warner account

Pixel